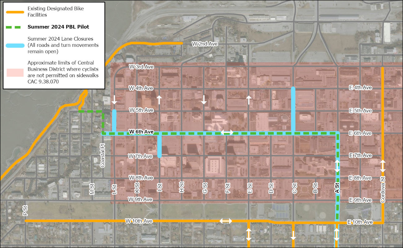
The temporary protected bike lane will change the look of 6th Avenue and A Street for Summer 2024.
Please be aware the left most lane of traffic along 6th Avenue from Coastal Place to A Street and A Street from 6th Avenue to 10th Avenue will be converted into a temporary Protected Bike Lane (PBL) for the summer of 2024. Please be alert to the change in traffic patterns, lane reduction and presence of cyclists while driving in downtown Anchorage. Traffic analysis shows a minor increase in congestion may be experienced during the evening peak hour at 6th Avenue & A Street, however the corridor will not be over capacity or create gridlock.

Check out the videos below for more information about driving and cycling on roads with protected bike lanes.